Terrain à batir à vendre Briey

68 700 €

Référence  975

decoration todo
L'Hotel Immobilier Nancy

34 annonces

Nancy

Description du bien

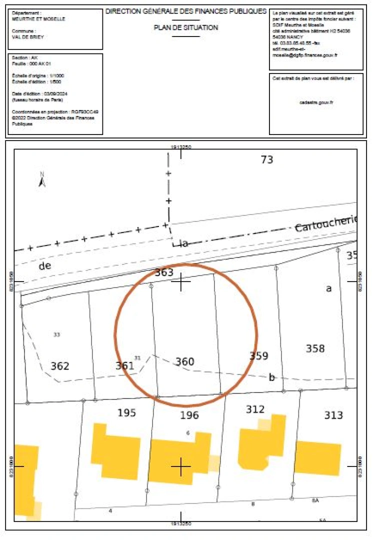
VAL DE BRIEY (Rue de la Cartoucherie) – TERRAIN VIABILISÉ PRÊT À CONSTRUIRE Opportunité rare ! Magnifique terrain à bâtir de 543m2, totalement libre de constructeur. Façade/Profondeur : 17m de façade sur 30,04m de profondeur. Viabilisation Complète : Raccordé et prêt à l'emploi (tout-à-l'égout, eau potable, électricité, téléphone/Internet, évacuation des eaux pluviales). L'Environnement (Val de Briey) : Santé : Hôpital à 7 minutes. Transports : Accès autoroute (A30) à 15 minutes. Commodités : Proximité écoles et commerces du centre-ville. Contactez-nous pour plus de détails.

Afficher plus Afficher moins

LOCALISATION DU BIEN

Quartier Val de Briey à Briey

Points d'intérêts

Transports

Éducation

Services publics

Commerces & Services

Géorisque

Les informations sur les risques auxquels ce bien est exposé sont disponibles sur le site Géorisques https://www.georisques.gouv.fr

Informations financières

A propos du prix

Prix de vente

68 700 €

Calcul de vos mensualités

Simulez vos prêts en quelques clics !

*Les données de ce simulateur sont indicatives et non contractuelles. Calcul hors assurance et frais de garantie.

Vos mensualités
236 € / mois
  • Montant emprunté
  • Coût des intérêts
  • Coût des intérêts :

    22597
    (d’après le taux d’intérêt annuel moyen : 3.3 %)
decoration
L'Hotel Immobilier Nancy

34 annonces

Nancy

Ce bien vous intéresse ?
*
*
*
*
*
*