Terrain à vendre Dannemarie
Référence 3298
Description du bien
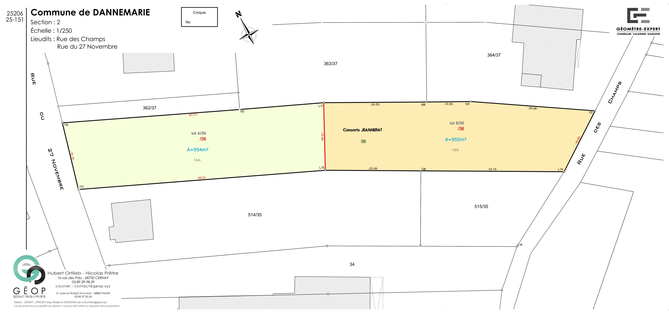
AGENCES Jean-François SCHINDLER IMMOBILIER Avis clients contrôlés. Réf : 3298 EN EXCLUSIVITÉ ! Belle parcelle de terrain à bâtir / DANNEMARIE Sur un beau terrain plat de 19 ares 07 ca, 2 parcelles constructibles, proche des commodités de Dannemarie : Réf.3297 / Parcelle de 9.5 ares environ (Section 2 N°36, Lot N°1) 104 000 € HAI Réf.3298 / Parcelle de 9.5 ares environ (Section 2 N°36, Lot N°2) 115 000 € HAI Les parcelles ne sont pas viabilisées Bornage des parcelles et Etude de sol (Loi ELAN) en cours. Les Cu opérationnels sont positifs. Les informations sur les risques auxquels ce bien est exposé sont disponibles sur le site Géorisques : www.georisques.gouv.fr Honoraires à la charge du Vendeur. Agence immobilière, Jean-François Schindler Immobilier. 13 place du Général de Gaulle 90110 Rougemont-le-Château. Axe Belfort / Mulhouse. 03.84.27.63.02.
LOCALISATION DU BIEN
Quartier Dannemarie à Dannemarie
Géorisque
Informations financières
A propos du prix
Prix de vente
 
           
                          Calcul de vos mensualités
- Montant emprunté
- Coût des intérêts
- 
                              (d’après le taux d’intérêt annuel moyen : 3.3 %)Coût des intérêts : 37826 €
Achat immobilier sur Dannemarie
 
                 
     
     
                               
      
               
       
       
               
                     
                      