exclusivité

Terrain à vendre Winkel

60 000 €

Référence  10573

decoration todo
LE ROSENBERG IMMOBILIER FERRETTE

11 annonces

Ferrette

Description du bien

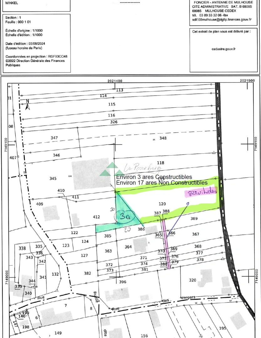
Winkel, au calme, terrain de 20.86 ares dont environ 3 ares constructibles.  Viabilisation et chemin d'accès à faire. Zone sismique moyenne 4. Bien de l'agence de Ferrette. Contact 03 89 08 41 96

Afficher plus Afficher moins

LOCALISATION DU BIEN

Quartier Winkel à Winkel

Points d'intérêts

Transports

Éducation

Services publics

Commerces & Services

Géorisque

Les informations sur les risques auxquels ce bien est exposé sont disponibles sur le site Géorisques https://www.georisques.gouv.fr

Informations financières

A propos du prix

Prix de vente

60 000 €

Calcul de vos mensualités

Simulez vos prêts en quelques clics !

*Les données de ce simulateur sont indicatives et non contractuelles. Calcul hors assurance et frais de garantie.

Vos mensualités
206 € / mois
  • Montant emprunté
  • Coût des intérêts
  • Coût des intérêts :

    19735
    (d’après le taux d’intérêt annuel moyen : 3.3 %)
decoration
LE ROSENBERG IMMOBILIER FERRETTE

11 annonces

Ferrette

Ce bien vous intéresse ?
*
*
*
*
*
*